Оферта № 258928

Продава парцели, 1860 кв.м., в Пловдив‎ за 410 000 €

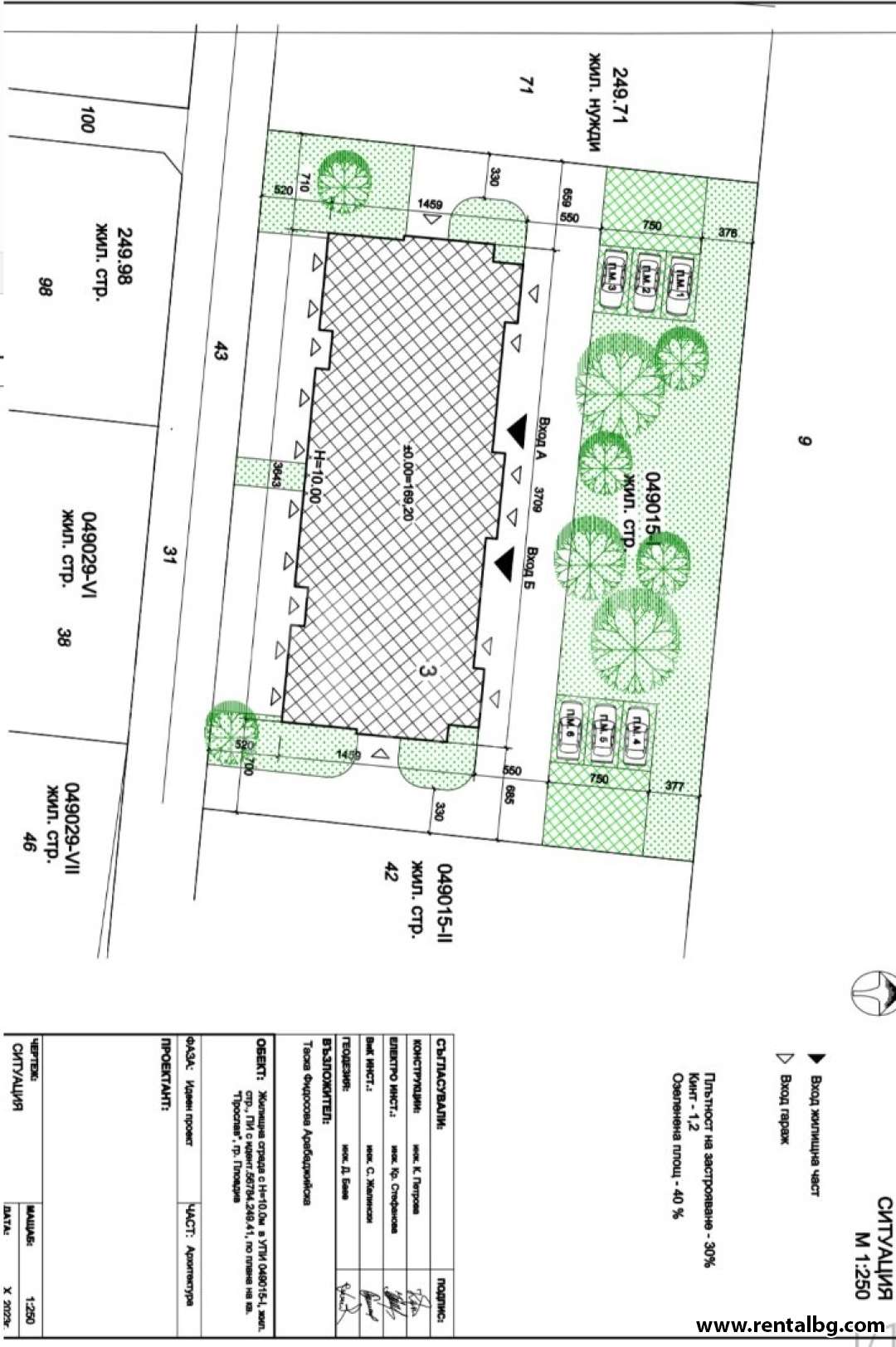
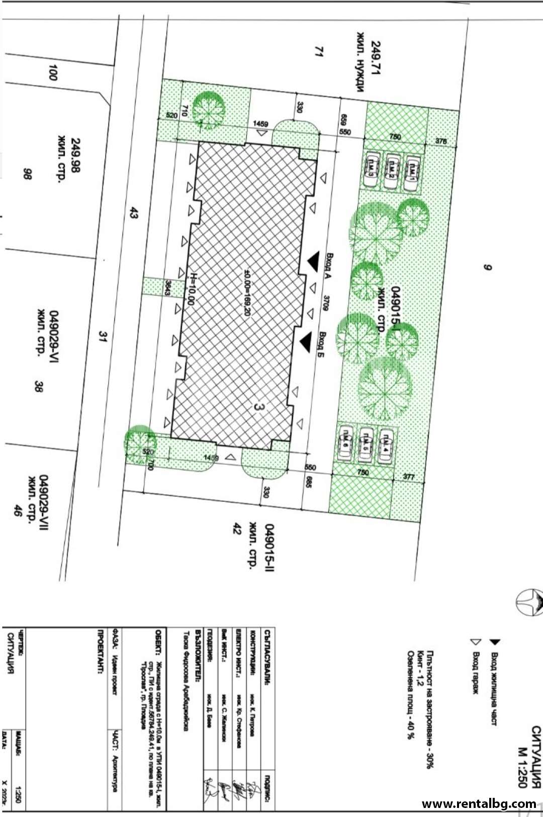
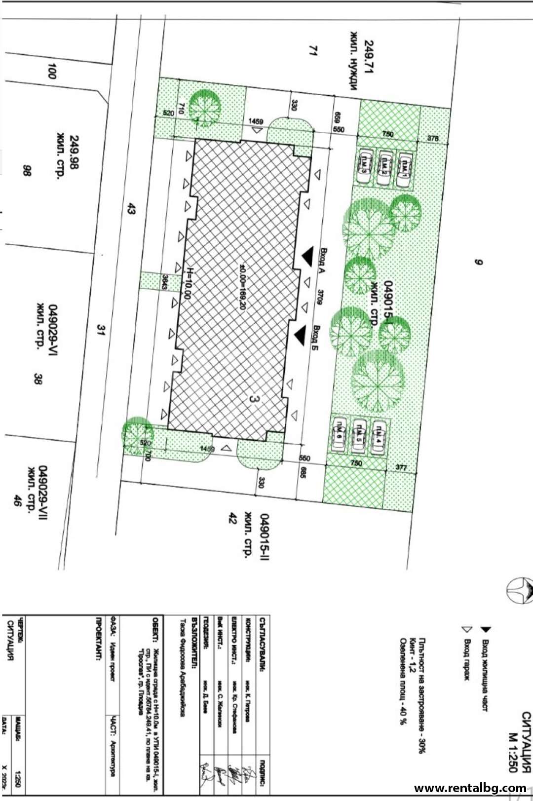
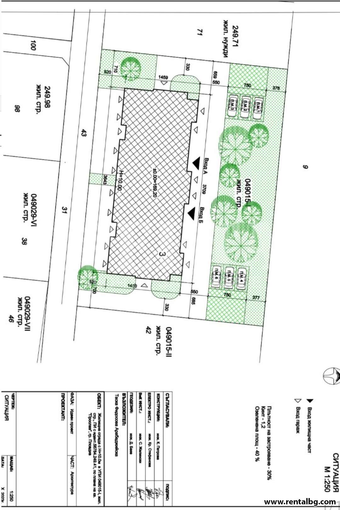
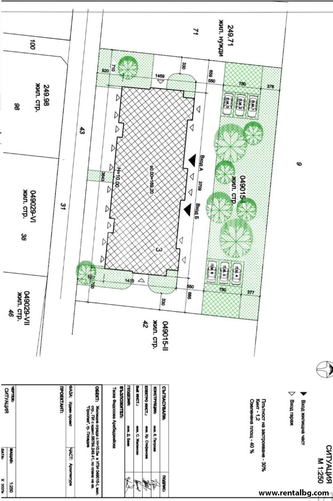
Агенция Рентал предлага парцел за жилищно строителство с две лица, на  добро място,спокойно за живеене,в близост до центъра на квартал Прослав и училището . Площа на парцела е 1860 кв.м ,а РЗП-то 2400 кв.м. В парцела са прекарани права и обратна вода , ток и се очаква разрешение за строеж до края на Юли месец  .

Тип имот
парцели
Предназначение
жил. строител.
Населено място
Пловдив‎
Квартал
Прослав
Площ
1860 кв.м.
КИНТ
РЗП
2400
Цена
410 000 €
Цена/кв.м.
220 €/кв.м.

Галерия

Брокер

Атанас Митев

atanas@rentalbg.com

тел.: 0896 27 28 86

Запитване към оферта

Подобни оферти

...
жил. строител.
Коматево
3000 кв.м.

122 222 €

Продаваме парцел от 3000 кв.м в местност Терзийте ,до парцела има изградени еднофамилни къщи .Общината тази година трябва да смени статутите н ...
...
жил. строител.
Източна инд.зона
6000 кв.м.

156 001 €

Поземлен имот в рамките на гр. Пловдив, Източна индустриална зона, Цариградско шосе, 6000 кв.м. Предназначение за смесена обслужващо-производствена дейн ...
...
жил. строител.
Южна инд.зона
5053 кв.м.

252 650 €

ОФЕРТА  234820   Агенция Рентал предлага парцели за продажба в   в района на плодохранилището,на втора линия.Статута му е УПИ за п ...
...
жил. строител.
Кършияка
3000 кв.м.

189 000 €

Продавам Парцели 3 броя град Пловдив, район Северен, п.к.4000 'Парк Отдих и Култура' ,Урбанизирана, средно застрояване от 10 до 15 м с номера 50 ...
...
жил. строител.
Южна инд.зона
3000 кв.м.

240 001 €

Продава се УПИ 3000 кв.м., с плътност на застрояване 80% и височина 16 м. Ток, вода и канализация до имота. С проект и валидно разрешително за строеж н ...